
Mina Jung, Ji Woo Han, Seoung Eun Park, Kyubin Lee, and Ki Jae Kim† 
Department of Energy Engineering, Konkuk University, 120 Neungdong-ro, Gwangjin-gu, Seoul 05029, Korea
건국대학교 미래에너지공학과
Reproduction, stored in a retrieval
system, or transmitted in any form of any part of this
publication is permitted only by written permission from the
Polymer Society of Korea.
Composite bipolar plates for vanadium redox flow battery (VRFB) were fabricated with the expanded graphite and poly(vinylidene fluoride) (PVDF).Swelling in the 5 M sulfuric acid and surface morphology of the bipolar plates were measured for the PVDF content of 3, 6, and 9%. Swelling ratio and cracks on the surface of the bipolar plates decreased with increase of the PVDF content. Swelling ratio was negligible when PVDF content is over 6%. It is because the hydrophobic and acid resistant PVDF was introduced into porous expanded graphite matrix. Based on this result, vanadium permeability test, corrosion test, through-plane resistance measurement were conducted for the bipolar plate with 6% PVDF. Smooth surface and 5 times reduced vanadium permeability was observed for the PVDF added bipolar plate. And it showed enhanced corrosion resistance and slight increase for through-pane resistance. As these results, it is considered that this composite bipolar plate is suitable for VRFB
팽창 흑연(expanded graphite)과 폴리(플루오르화 비닐리덴)(poly(vinylidene fluoride), PVDF)를 혼합하여 바나듐 레독스 흐름 전지(VRFB)용 분리판을 제작하였다. PVDF를 3, 6, 9% 첨가하였고 제작된 분리판의 표면 분석과 5 M 황산에 대한 팽윤율 측정을 시행하였다. PVDF의 함량이 증가할수록 분리판 표면의 크랙과 팽윤율이 감소하였다. 또한 PVDF 첨가량이 6% 이상일 경우 팽윤 정도가 미미했다. 이는 소수성과 내산성을 가진 PVDF가 팽창 흑연의 갈라진 틈 사이를 채워 표면의 크랙을 감소시키고 팽윤을 억제했다고 볼 수 있다. 이 결과를 토대로 6% PVDF가 첨가된 분리판에 대하여 표면 분석, 바나듐 투과도 측정, 내식성 평가, 관통 저항 측정을 수행하였다. PVDF가 첨가된 분리판에 대하여 더 고른 표면이 관찰되었으며 바나듐 투과도가 5배 감소하였다. 또한 팽창 흑연 분리판 대비 향상된 내식성을 나타냈다. PVDF의 첨가로 인해 관통 저항은 소폭 증가하였다. 위의 결과를 고려하였을 때 팽창 흑연-PVDF 복합 분리판은 VRFB에의 적용이 적합할 것으로 판단된다
Composite bipolar plates for vanadium redox flow battery(VRFB) were fabricated with the expanded graphite and polyvinylidene fluoride (PVDF). Swelling ratio of bipolar plates decreased with increase of PVDF content and corrosion resistance of bipolar plates improved with increase of PVDF content because of hydrophobic and acid resistant nature of PVDF.

Keywords: composite bipolar plates, expanded graphite, poly(vinylidene fluoride), vanadium redox flow battery
본 연구는 에너지기술평가원에서 지원하는 연구 과제(20172420108630)로 수행되었으며, 또한 2019년도 건국대학교 우수연구인력 양성사업 지원에 의한 논문입니다. 모든 지원에 대하여 감사의 말씀을 드립니다.
태양광, 풍력 등 신재생에너지의 원활한 저장과 사용을 위한 대용량 전력 저장 장치(ESS)에 관한 연구가 활발하게 진행되고 있다. 그중에서도 바나듐 레독스 흐름 전지(VRFB)는 긴 수명, 안정성, 낮은 유지 비용 그리고 대용량화 가능성 때문에 차세대 ESS로서 주목받고 있다.1-3 VRFB는 산성 수계 전해질에 용해된 바나듐의 산화와 환원을 통해 구동된다. VRFB의 주요 구성물 중 하나인 분리판은 양극
과 음극 전해질을 물리적으로 차단하고, 전자의 통로를 제공하는 역할을 한다. 그러므로 VRFB에 적용될 분리판은 높은 전기 전도도와 기계적 물성을 가져야 하며, 산성 전해질 내에서도 견딜 수 있는 높은 내산성과 내산화성이 요구된다. VRFB용 분리판의 종류로는 금속 계열, 흑연 계열, 탄소-고분자 복합 계열이 있다.4 금속 계열 분리판의 경우 높은 전기 전도도를 가졌다는 장점이 있지만 치명적인 내산성으로 인해 VRFB에 적용은 어려움이 있다. 기존에 널리 사용되고 있는 흑연 계열의 분리판의 경우 높은 전기 전도도와 화학적 안정성을 가지고 있다.5 그러나 깨지기 쉽고 일정 두께 이하로 제작이 어려워 대면적 제작이 어렵다는 단점이 있다. 기존 분리판의 여러 문제들로 인해 탄소-고분자 복합 분리판 개발 연구가 다양하게 진행되고 있다.6
본 논문에서는 VRFB에 적용할 분리판으로서 상용 흑연 분리판(~3 mm) 대비 두께가 얇으면서 내식성 및 바나듐 투과성에 대한 저항성이 우수한 고분자 복합 팽창 흑연 분리판을 개발하였다. 본 연구에서 사용된 소재는 팽창 흑연을 기반으로 내산성과 내화학성이 우수한 PVDF가 사용되었다. 우수한 내식성 및 바나듐 투과도에 대한 저항성이 큰 최적의 고분자 복합 분리판 개발을 위해 본 연구에서는 PVDF 함량을 변화시키면서 고분자 복합 분리판을 제조하였으며 제조된 분리판의 미세구조, 화학적 안정성, 바나듐 투과도를 체계적으로 측정하였으며 도출된 결과를 기반으로 VRFB에 적용 가능한 분리판 최적 조성비를 제안하였다.
실험 재료. 본 연구에서 사용된 팽창 흑연(expanded graphite)은 유니코 정밀화학(한국)으로부터 제공받았으며, 페이스트 믹서(ARE-310, Thinky, Japan)를 이용하여 밀도를 낮추는 과정을 거친 후 분리판 제작에 사용되었다. 폴리(플루오르화 비닐리덴)(poly(vinylidene fluoride), PVDF)는 Alfa aesar (USA)에서 구매하였다. 황산(H2SO4, >98%)은 대정화금(한국), 바나딜 설페이트 수화물(VOSO4·4H2O)은 Zhejiang Eazy Pharmchem(중국)에서 구매하였다. 시약 모두 별도의 건조나 정제 없이 사용되었다.
분리판 제작. 유연성 분리판은 팽창 흑연과 PVDF를 일정 비율(3, 6, 9 wt% PVDF)로 혼합하여 제작되었다. 먼저 팽창 흑연과 PVDF를 페이스트 믹서로 2000 rpm에서 30분 동안 혼합한 후 혼합 분말 0.3 g을 지름 2 cm의 압축 성형 몰드에 넣고 8 MPa의 압력을 3분 동안 인가하여 프리포밍하였다. 프리포밍을 거친 분리판은 200 oC, 아르곤 분위기에서 2시간 동안 열처리 후, 롤프레스 기계를 이용하여 0.6 mm의 두께로 압축하였다. 제작된 지름 2 cm, 두께 0.6 mm의 분리판은 팽윤 실험, SEM 분석, 바나듐 투과도 실험, 부식성 실험 및 관통 저항 평가를 위해 사용되었다.
팽윤 시험. 분리판의 팽윤 정도는 제작된 분리판을 5 M 황산에 함침시킨 후 분리판의 두께를 1일 1회씩 총 5일 동안 측정하여 계산하였다. 분리판의 팽윤율은 식 (1)로 정의된다.

여기서, T0는 건조 분리판의 초기 두께, Tn은 n일 후 분리판의 두께를 나타낸다.
분리판의 표면 분석.제작된 분리판의 표면 형태 및 구조와 구성 원소를 전계 방출형 주사 전자 현미경(field emission scanning electron microscope, FE-SEM, SU8010, Hitachi, Japan)으로 분석하였다.
바나듐 투과도 측정. 분리판의 바나듐 투과도를 측정하기 위하여 H셀(MFC 100.25.1, Adams & Chittenden Scientific Glass Coop, USA)을 사용하였다. H셀의 한 쪽에는 1.5 M VOSO4와 3 M 황산 용액, 다른 한 쪽에는 3 M 황산을 각 100 mL씩 넣고 그사이에 0.6 mm 두께의 분리판을 삽입하였다. 하루에 한 번씩 총 3일 동안 3 M 황산 쪽의 용액 3 mL를 채취하여 자외선 가시광선 분광계(UV-Vis spectrophotometer, Agilent 8453, Agilent Technologies, USA)를 이용하여 채취된 용액의 흡광도를 측정하고 선행 연구에서 시행된 방법으로 바나듐 투과도 양을 계산하였다.7
내식성 평가. 분리판의 내식성은 2.5 M 황산 용액에서 분극 실험을 수행하여 평가되었다. 부식성 실험에서는 polarization cell(597 cell kit, neoscience, Korea), 상대 전극으로 Pt wire(805/SPG/12J), 기준 전극으로 calomel 전극(303/SCG/12J)이 사용되었다. 부식 전류 밀도와 부식 전위 값은 Tafel fitting에 의하여 계산되었다.
관통 전기 저항 측정. 분리판의 관통 저항 측정은 Figure 1에 제시한 바와 같이 선행 논문을 참고하여 수행되었다.8,9 두 개의 금 코팅 구리판 사이에 삽입된 4장의 분리판을 2 MPa의 일정한 압력으로 압축하여 이때의 저항을 milliohm meter(MHB-15, Masada Bottle Jack Squat, Japan)를 이용하여 측정한 후 동일한 방법으로 두 장의 분리판에 대한 저항을 측정하였다. 분리판의 관통 저항은 식 (2), (3), (4), (5)를 통해 계산된다.

여기서, R4BPs와 R2BPs는 각각 분리판 4장과 2장에 대한 저항, RAu, RBP는 각각 금 코팅 구리판과 분리판의 벌크 저항, 그리고 RAuIBP와 RBPIBP는 각각 금 코팅 구리판과 분리판, 분리판과 분리판 사이의 접촉 저항을 나타낸다.
|
Figure 1 Through-plane resistance measurement setting. |
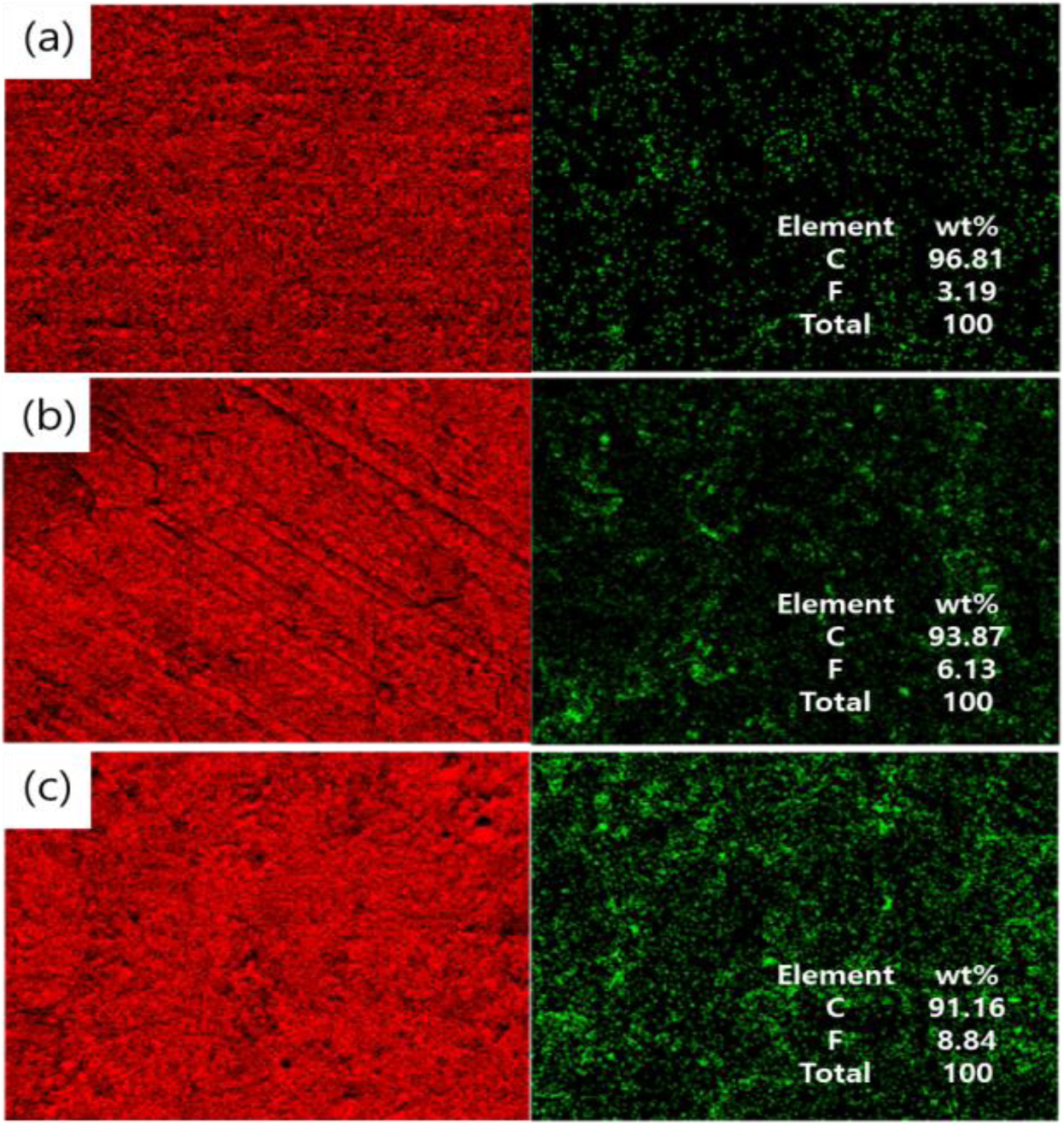
분리판의 표면 분석. PVDF 함량에 따른 분리판의 표면 구조 변화를 확인하기 위해 scanning electron microscope(SEM) 분석을 수행하였으며 그 결과를 Figure 2에 나타내었다. 순수한 팽창 흑연으로 제작된 분리판(Figure 2(a))의 경우 팽창 흑연의 다공성 구조로 인해 생긴 기공들이 연결되어 만들어진 것으로 보이는 크랙들이 표면에 관찰되며 이로 인해 거친 형태의 표면이 관찰되었다. 반면, PVDF가 첨가된 분리판(Figure 2(b), 2(c), 2(d))의 경우 순수한 팽창 흑연 분리판과 비교하였을 때 PVDF 첨가로 인해 팽창 흑연의 다공성 구조로 만들어진 기공들 사이로 PVDF가 함침되어 기공들을 채우기 때문에 크랙이 감소된 것으로 판단된다. 또한 PVDF의 함량이 증가할수록 크랙의 수가 감소하고 표면이 더 밀집되고 평평하게 되었음을 확인할 수 있었다. 이를 확인하기 위해 EDS 원소 분석을 수행하였으며 그 결과를 Figure 3에 나타내었다. EDS 결과에서 보듯이 PVDF가 팽창 흑연 내에 고르게 분산됨을 확인할 수 있었다. 분리판 표면에 형성된 크랙에서는 팽창 흑연의 edge 부분이 쉽게 드러나게 되고 이로 인해 부식이 잘 발생될 것으로 예측되며 표면에 형성된 크랙을 통해 전해질이 쉽게 스며들 것으로 예상된다.
팽윤 시험. VRFB용 분리판에 전해질에 의해 팽창이 일어나면 분리판의 구조 붕괴를 야기하여
집 전체와 전극 사이로 강산 용액이 흘러들어 집 전체의 부식 및 분리판과 집 전체 사이의 전자 전달이 원활하게 이루어 지지 않아 VRFB의 성능 저하를 야기할 수 있기 때문에 전해질에 의한 분리판 팽창은 억제되어야 한다. 본 연구에서 개발된 PTFE가 포함된 분리판의 팽윤 현상을 확인하기 위해 순수한 팽창 흑연으로 제조된 분리판과 3, 6, 9% PVDF 함량별로 제조된 분리판을 5 M 황산에 함침시켜 시간에 따른 팽윤율을 측정하였으며 그 결과를 Figure 4에 나타내었다. 팽윤율은 5 M 황산에 함침 전 분리판과 5 M 황산에 함침 후 분리판의 두께 변화 비율을 의미한다. 순수한 팽창 흑연으로 제조된 분리판의 경우, 5 M 황산에 함침 후 1일 경과 시 20% 정도의 급격한 팽창률을 보인 반면, PVDF가 함유된 분리막의 경우 3% PVDF가 포함된 분리판의 경우 2.5% 정도의 팽창률을 보였다. PVDF의 첨가량이 6% 이상일 경우 0.5% 이하의 아주 작은 팽창률을 보였다. 함침 5일 후 분리판의 표면을 육안으로 확인하였을 때(Figure 2 내부의 분리판 사진), 순수한 팽창 흑연과 3% PVDF 분리판에서 국소부위 팽윤 형상이 뚜렷하게 관찰된 반면 6 및 9% PVDF 분리판의 경우 함침 전후 표면 상태 차이가 관찰되지 않았으며 팽윤율을 비교한 결과 6% PVDF 분리판과 9% PVDF 분리판 사이에는 차이가 없음을 확인할 수 있었다. PVDF 첨가에 따른 분리판의 팽윤 현상 감소 이유는 다음과 같이 설명될 수 있다. 흑연 flakes를 수백 배 팽창시켜 만든 팽창 흑연을 이용하여 분리판을 제조할 경우 팽창 흑연이 적층되는 과정에서 많은 기공이 생성될 수 있으며 이 부분을 따라 전해액이 쉽게 침투할 수 있어 심한 팽창이 발생하는 반면에, 팽창 흑연에 PVDF를 첨가하면 팽창 흑연 적층되는 과정에 만들어 지는 내부의 기공 사이로 소수성의 PVDF가 녹아 들어가 기공 구조를 어느 정도 막아 주기 때문에 팽윤 현상이 억제되는 것이라 판단된다. 미세구조 관찰 및 팽윤 실험을 바탕으로 하여 본 연구에서는 6% PVDF 분리판을 최적의 조성으로 결정하였으며 이를 이용하여 바나듐 투과성과 내식성, 저항측정 실험을 수행하였다.
바나듐 투과도.분리판을 통한 바나듐 이온의 투과는 셀의 자가방전과 바나듐 이온의 불균형을 초래하기 때문에 낮은 바나듐 투과도는 분리판 제작 시 중요한 요소이다.10 분리판 투과도 실험을 위하여 실험방법에 제시한 바와 같이 바나듐 1.5 M의 VOSO4가 녹아 있는 3 M 황산 용액을 이용하여 분리판을 관통하는 바나듐 투과도를 측정하였으며 그 결과를 Figure 5에 나타내었다. 미세구조 관찰 결과 및 팽윤 실험 결과에서 예측된 바와 같이 6% PVDF가 혼합된 분리판의 경우 순수 팽창 흑연으로 제작된 분리판과 비교하였을 때 바나듐 투과도가 약 5배 감소됨을 확인하였다. 이러한 결과는 소수성 특성을 가지는 PVDF가 팽창 흑연 내에 골고루 분산되어 다공성 구조와 틈을 효과적으로 막아주면서 바나듐의 투과를 억제시킨 것으로 설명할 수 있다.
내식성 평가. 바나듐 흐름 전지는 산성 조건에서 운전되기 때문에 안정적인 셀 구동을 위해 높은 내식성을 가진 분리판이 요구된다. 부식이 일어나면 분리판 내에 많은 공극이 형성되고, 이는 분리판의 바나듐 이온의 투과를 증가시키고 기계적 강도를 감소시킨다.11,12 제작된 분리판의 내식성을 평가하기 위하여 2.5 M 황산에서 분극 실험을 시행하였으며 이 실험을 통해 얻은 분리판의 내식성 평가 결과를 Figure 6과 Table 1에 나타내었다. 상기 실험을 통해 부식 전류 밀도(Icorr)와 부식 전위(Ecorr)를 얻을 수 있었다. 일반적으로 부식 전류 밀도값이 클수록 빠르게 부식이 진행되는 경향을 보이고 부식 전위가 음의 방향으로 갈수록 부식에 대한 저항성이 낮은 것으로 보고되고 있다.13 이러한 기본적 배경 지식을 바탕으로 6% PVDF 분리판의 Icorr(6.78×10-9 Acm-2)과 Ecorr(0.433 V)을 팽창 흑연 분리판의 Icorr(1.11×10-5 Acm-2), Ecorr(0.160 V)과 비교하였을 때, 6% PVDF 분리판이 월등히 향상된 내식성을 보였다. 흑연 소재의 경우 edge plane의 촉매 효과로 인해 분해 전위가 낮아진다고 알려져 있다.14,15 이러한 선행 결과를 바탕으로 구조적으로 많은 크랙을 가지고 있는 순수한 팽창 흑연의 경우 촉매 효과를 나타내는 edge plane이 전해질에 노출되기 때문에 부식저항성이 낮아지는 반면 PVDF를 첨가한 분리판의 경우 상대적으로 적은 크랙으로 인해 전해질에 노출되는 edge plane이 감소하기 때문에 부식저항성이 향상된다고 설명할 수 있다. 또한 상대적으로 내산성이 있는 PVDF가 팽창 흑연에 첨가되어 분리판의 내식성이 향상되었다고 볼 수 있다.
관통 전기 저항 측정. 전자 전달 통로를 제공하는 역할인 분리판은 낮은 관통 전기 저항을 가져야 한
다. 본 연구에서 개발된 분리판의 관통 전기 저항을 확인하기 위해 실험방법에 제시된 측정법을 이용하여 관통 전기 저항을 측정하였으며 그 결과를 Table 2에 나타내었다. 결과에서 확인할 수 있듯이 PVDF가 6% 첨가되었을 때 분리판의 관통저항은 46.076 mWcm-1으로 순수한 팽창 흑연으로 제작한 분리판(39.427 mWcm-1)보다 약간 증가하였다. 이는 전도성이 없는 PVDF가의 팽창 흑연 내에 첨가되어 저항체로 작용하였기 때문이나 그 차이가 크지 않고, 기존에 보고된 100 mWcm-1 이상의 관통 전기 저항을 가진 복합 분리판보다 훨씬 낮은 수치를 보였다.16
|
Figure 2 Surface images of (a) 0% PVDF; (b) 3% PVDF; (c) 6% PVDF; (d) 9% PVDF. |
|
Figure 3 EDS results of (a) 3% PVDF; (b) 6% PVDF; (c) 9% PVDF. Red color indicates carbon and green indicates fluorine. |
|
Figure 4 Swelling behavior of bipolar plates. |
|
Figure 5 Vanadium permeability of the bipolar plates. |
|
Figure 6 Polarization curve of the bipolar plates |
본 연구에서는, 바나듐 흐름 전지에 적용할 팽창 흑연-고분자 복합 분리판을 개발하였다. 분리판에 적용할 고분자로는 내산성과 내산화성이 뛰어난 PVDF가 사용되었다. 5 M 황산 용액에서의 팽윤 실험 결과 PVDF가 6% 이상 첨가되었을 때 무시할 수 있을 정도로 낮은 팽윤율을 보였다. SEM 분석 결과 PVDF가 팽창 흑연 내에 고르게 분포됨을 확인할 수 있었으며 PVDF 첨가 시 분리판의 표면이 밀집되고 평평하게 되었음이 관찰되었다. 이로 인해 6% PVDF 분리판은 팽창 흑연 분리판보다 5배 낮은 바나듐 투과도를 보였다. 우수한 내산성을 가진 PVDF가 도입됨으로써 순수한 팽창 흑연 대비 분리판의 부식 전류 밀도(6.78 × 10-9 Acm-2)는 감소하고 부식 전위(0.443 V)는 증가하였다. 6% PVDF의 관통저항(46.076 mW/cm-1)은 팽창 흑연 분리판(39.427 mWcm-1)보다 증가하였으나, 그 차이가 크지 않았다. 종합적으로 보았을 때, 본 연구에서 개발된 팽창 흑연-PVDF 복합 분리판은 바나듐 흐름 전지에 적용이 적합할 것으로 예상된다.
This Article2021; 45(2): 309-313
Published online Mar 25, 2021
Services
Correspondence toDepartment of Energy Engineering, Konkuk University, 120 Neungdong-ro, Gwangjin-gu, Seoul 05029, Korea