
Youngwook Kim, Jinkyu Park, Yunjae Jang*, Minho Jung*, Eunhye Lee*, and Ho-Jong Kang† 
Department of Polymer Science and Engineering, Dankook University, 152 Jukjeon-ro, Suji-gu, Yongin-si, Gyeonggi-do, 16890, Korea
*CJ Cheiljedang Corp. 55, Gwanggyo-ro 42beon-gil, Yeongtong-gu, Suwon-si, Gyeonggi-do, 16495, Korea
단국대학교 고분자공학과, *CJ 제일제당
Reproduction, stored in a retrieval system, or transmitted in any form of any part of this publication is permitted only by written permission from the Polymer Society of Korea.
In this study, we investigated the effects of the 4-hydroxybutyrate (4HB) content and sequence distribution of 3-hydroxy butyrate (3HB)-4HB chains on their non-isothermal crystallization behavior of biodegradable P(3HB-co-4HB). In addition, the effect of melt processing temperature on the crystallization was also examined. As a result, it was possible to control the 4HB content and the chain sequence such as the distribution of 3HB chain block, 4HB chain block, and 3HB-4HB random chain block in the copolymer depending on the fermentation conditions by bacteria. This difference in chain sequence distribution affected the non-isothermal crystallization behavior of P(3HB-co-4HB), and it was confirmed that the crystallization rate increased and the degree of crystallinity decreased as the 4HB chain increased. It was also found that increasing the melt processing temperature caused thermal decomposition of P(3HB-co-4HB), affecting non-isothermal crystallization behavior. This resulted in decreasing the crystallization of the 3HB-4HB random chain block and 4HB chain block while increasing the crystallization of the 3HB chain block.
본 연구는 생분해성 고분자인 poly(3-hydroxybutyrate-co-4-hydroxybutyrate(P(3HB-co-4HB))의 4HB 함량과 3HB-4HB 사슬 sequence distribution이 비등온 결정화 거동에 미치는 영향을 살펴보았다. 이와 함께 용융 가공온도가 이들 결정화에 미치는 영향도 함께 확인하였다. 연구 결과, 박테리아의 발효 조건에 따라 4HB 함량과 공중합체의 3HB block, 4HB block, 그리고 3HB-4HB random block 조절이 가능함을 알 수 있었다. 이러한 sequence distribution 차이는 P(3HB-co-4HB)의 비등온 결정화 거동에 영향을 주어 4HB 사슬 증가에 따라 결정화속도는 증가되며 결정화도는 감소됨을 확인하였다. 용융 가공온도 증가는 P(3HB-co-4HB)의 열분해를 초래하여 비등온 결정화 거동에 영향을 미쳐 3HB 사슬 block에 결정화는 증가시키는 반면, 4HB가 포함된 3HB-4HB 사슬 random block과 4HB 사슬 block의 결정화를 감소시킴을 확인하였다.
The difference in chain sequence distribution affected the non-isothermal crystallization behavior of poly(3-hydroxybutyrate-co-4-hydroxybutyrate) (P(3HB-co-4HB)), and it was confirmed that the crystallization rate increased and the degree of crystallinity decreased as the 4HB chain increased. It was also found that increasing the melt processing temperature caused thermal decomposition of P(3HB-co-4HB), affecting non-isothermal crystallization behavior.

Keywords: poly(3-hydroxybutyrate-co-4-hydroxybutyrate), non-isothermal crystallization, chain sequence distribution, processing temperature, thermal degradation.
저자(들)는 이해상충이 없음을 선언합니다.
Polyhydroxyalkanoate(PHA)는 박테리아가 생산하는 친환경 생분해 고분자로 aliphatic polyester의 구조를 가지며 다양한 (R)-hydroxy fatty acid를 단량체로 사용한다.1 대표적인 PHA로 poly(3-hydroxybutyrate)(PHB)2, poly(3-hydroxyvalerate)(PHV)3 등이 있으며 이들은 박테리아의 대사과정에서 에너지 저장원으로 합성되며 과잉 공급된 탄소원 영향소가 제한된 조건에서 축척 되어진다. 따라서 PHA의 산업적 대량 생산을 위해서 다양한 박테리아의 대사 과정에 대한 연구가 활발하게 진행되고 있다.4-6
PHB는 가장 먼저 상업화된 PHA이나 경직된 3-hydroxybutyrate(3HB) 사슬을 가지고 있어 물성이 매우 brittle 하여 용융 가공 고분자로의 가공 특성에 문제점을 야기시킨다.7 이를 해결하는 방안으로 4-hydroxybutyrate(4HB), 3-hydroxyvalerate(3HV), 3-hydroxyhexanoate(3HHx) 등과 같은 다양한 단량체와 공중합 형태로 PHA를 생산하는 연구가 매우 활발하게 진행되고 있다.8-10 이러한 공중합체로 poly(3-hydroxybutyrate-co-4-hydroxybutyrate)(P(3HB-co-4HB)), poly(3-hydroxybutyrate-co-3-hydroxyvalerate)(P(3HB-co-3HV)), poly(3-hydroxybutyrate-co-3-hydroxyhexanoate)(P(3HB-co-3HHx))등이 생산되고 있으며 최근 CJ 제일제당에 의하여 다양한 4HB 함량을 갖는 P(3HB-co-4HB)가 상업적으로 대량 생산되고 이들의 물성 및 가공 특성 연구가 활발하게 진행되고 있다.11
PHB는 3HB가 갖는 완벽한 stereoregularity에 의하여 결정이 매우 천천히 성장하여 상대적으로 큰 구정을 이루어 결정화도가 높아 연신과정에서 결정과 결정 계면 파단으로 인하여 매우 brittle한 특성을 갖는다. 이와 함께 용융 가공온도가 매우 좁으며 분해 또한 급격하게 진행되어 용융 가공성이 현저하게 떨어지는 문제점을 갖는다.12 이의 해결방안으로 P(3HB-co-3HV) 공중합체가 ICI에 의하여 개발되었으며 3HV 함량에 따라 결정화거동을 조절할 수 있음을 확인하였다.13 이와 함께 최근 상업화된 P(3HB-co-4HB) 역시, 4HB 함량에 따라 PHB의 물성을 개선할 수 있음이 알려진 바 있다.14-17 P(3HB-co-4HB)는 4HB 함량이 20%이상에서 고무와 같은 탄성적 성질을 갖는 무정형 고분자로 만들 수 있으며 상대적으로 유연한 4HB 사슬이 결정화를 방해하는 요인으로 작용하여 4HB 함량에 따라 결정화도 및 결정화속도 조절이 가능함을 알 수 있다. 4HB 함량에 의한 조절 이외에도 P(3HB-co-4HB)의 결정화 거동을 조절할 수 있는 방법으로 사슬가교,18 boron nitride, talc, hydroxyapatite, zinc stearate 등의 기핵제를 사용한 연구가19-21 진행되었으며 polylactic acid(PLA)와 같은 다른 생분해성 고분자와 용융 블렌딩하는 방법,22 PHB와 블렌딩하는 방법,23 4HB 함량에 따라 얻어진 결정성 P(3HB-co-4HB)와 비결정성 P(3HB-co-4HB)를 용융 혼합하여 결정화 거동을 조절하는 연구 등이24 있다.
P(3HB-co-4HB)의 4HB 함량은 결정화에 영향을 미치는 것으로 알려져 있으나 이와 함께 공중합체의 4HB 사슬과 3HB 사슬 sequence distribution(randomness) 또한 결정화를 좌우하는 중요한 요인이 될 수 있다. 본 연구에서는 공중합체 사슬 randomness가 다른 P(3HB-co-4HB)를 CJ 제일제당으로 부터 공급받아 4HB 함량과 함께 randomness가 이들의 결정화와 결정 형성에 미치는 영향을 살펴보았다. 아울러 용융 가공온도가 결정화에 미치는 영향도 함께 확인하였다.
재료. 본 연구에서 사용한 PHA는 4HB 함량과 분자량이 다른 3종의 실험용 P(3HB-co-4HB)를 CJ 제일제당으로 부터 제공받아 사용하였다. 제공받은 PHA7, PHA36, PHA42(PHA-4HB함량)의 분자량(g/mol)은 각각 340000, 800000, 220000으로 결정성인 PHA7과 PHA42를 고분자 용융 가공에서 중요한 가공 특성으로 알려진 비등온 결정화 거동 확인 시료로 사용하였다.
P(3HB-co-4HB)의 4HB 함량 및 randomness (D)를 13C nuclear magnetic resonance spectroscopy(Jeol, NMR Jeol 400, Japan)를 사용하여 확인하였다. 이때 용매로는 chloroform-d를 사용하였으며 2000회 scanning 조건에서 실험을 수행하였다. 4HB 함량은 169 ppm의 C1 carbon peak와 173 ppm의 C5 carbon peak의 비로 나타내었다. 얻어진 두개의 피크로 부터 4HB와 3HB의 homo sequence(F44, F33)와 hetero sequence에 따른 phase shift에 의한 F43, F34 피크를 각각 확인하고 이들로 부터 randomness(D)를 다음과 같이 계산하였다.

분석. 본 연구에서 사용한 PHA의 열안정성을 확인하기 위하여 thermal gravity analyzer(TGA, TA, Q50, USA)를 이용하여 180 oC와 200 oC에서 20분간 등온으로 유지한 후 질량 변화를 확인하여 4HB 함량에 따른 열안정성을 확인하였다. Differential scanning calorimeter(DSC, Q20, TA, USA)를 이용하여 PHA의 열적 특성과 비등온 결정화 거동을 확인하였다. 시료는 20 oC/min로 -50 oC에서 용융 가공온도인 180 oC와 200 oC까지 가열한 후 10-50 oC/min로 냉각시켜 용융가공 온도와 냉각조건에 따른 비등온 결정화 거동을 확인하였다. 이와 함께 시료를 -50 oC에서 200 oC 까지 20 oC/min로 2차 가열하여 냉각조건이 결정화 온도(Tc)와 결정화 엔탈피(ΔHc)에 미치는 영향과 용융 온도(Tm)과 용융 엔탈피(∆Hm)의 변화를 함께 확인하였다. 결정화 속도를 확인하기 위하여 얻어진 결정화 피크로 부터 crystallization of half time(t1/2)을 함께 나타내었다.
각 PHA의 구정 형태는 hot stage(FB82HT, Mettle, Switzerland)와 CCD 카메라가 장착된 편광현미경(BX51, Olympus, Japan)을 이용하여 DSC 실험과 같은 열이력으로 가열 및 냉각하여 냉각과정의 각 온도에서 구정 형성에 의한 Maltese cross의 변화를 확인하여 이를 optical micrographs로 나타내었다.
Figure 1에 본 연구에서 사용한 P(3HB-co-4HB)의 DSC thermal spectrum(2nd scanning)을 나타내었다. PHA7과 PHA42는 165 oC에서 용융 피크를 보여 결정성 P(3HB-co-4HB)임을 알 수 있는 반면 PHA36은 용융 피크 없이 -20 oC 부근에서 유리전이온도에 기인된 피크만을 보여 비결정성 P(3HB-co-4HB)임을 확인할 수 있다. P(3HB-co-4HB)는 4HB 함량이 20% 이상에서 4HB 사슬에 의한 사슬 random화가 일어나 비결정성을 보이는 것으로 알려져 있으나14 HB 함량이 PHA36보다 높을 것으로 예상되는 PHA42가 결정성을 보임에 따라 4HB 함량 이외에도 P(3HB-co-4HB)의 결정 형성을 좌우하는 3HB와 4HB 사슬의 chain sequence distribution과 같은 미시 구조가 결정화에 영향을 미침을 예상할 수 있다.
본 연구에서 사용한 P(3HB-co-4HB)의 13C NMR 스펙트럼을 Figure 2에 나타내었다. 그림에서 보는 바와 같이 169-171 ppm사이에서 3HB의 C=O 카본에 기인된 C1과 171-173 ppm 사이에서 4HB의 C=O 카본에 기인된 C5 피크의 비로부터 4HB함량을 계산하여 Table 1에 나타내었다. 그 결과, P(3HB-co-4HB)의 4HB 함량은 각각 7.27, 35.80, 42.05%임을 알 수 있었다. 이들 피크는 chain sequence distribution에 의한 shift에 의하여 분리되어 F44, F43, F34, F33로 나타나며 이들 피크를 사용하여 식 1)과 2)에 의하여 공중합체의 chain sequence distribution D1과 D2을 계산하여 Table 1에 함께 나타내었다. Figure 1에서 확인된 바와 같이 4HB 함량이 7.27%까지는 용융 피크가 존재하는 것으로 보아 결정성을 보이나 4HB 함량이 증가된 35.80%의 4HB 함량을 갖는 PHA36은 용융 피크가 존재하지 않는 것으로 보아 비결정성임을 알 수 있다. PHA7이 Figure 1에서 확인된 것과 같이 결정성을 보이는 이유는 3HB 사슬에 상대적으로 적은 양의 4HB 사슬이 random하게 존재하여 3HB 사슬이 block으로 존재하여 결정화가 가능하기 때문이다. PHA36의 경우, 4HB 사슬의 양이 증가되면 4HB 사슬에 의하여 3HB 사슬 규칙성을 방해하여 3HB 사슬 random화가 이루어져 결정화가 가능하지 않아 비결정성을 보이는 것을 알 수 있다. 반면, PHA42는 Figure 1에서 알 수 있드시 PHA36 보다 높은 4HB 함량을 가지고 있으나 결정성을 보인다. 이러한 결과는 4HB 함량과 함께 3HB와 4HB 사슬의 chain sequence distribution이 P(3HB-co-4HB)의 결정화에 영향을 미침을 반증한다.
Table 1에서 확인된 바와 같이 PHA7, PHA36, PHA42 사슬 중 3HB block과 3HB-4HB random block의 비를 나타내는 D1은 각각 7.25, 0.95, 1.57 보이며 4HB block과 3HB-4HB random 사슬의 비를 나타내는 D2는 0.00, 0.32, 1.00값을 보인다. 이러한 결과는 P(3HB-co-4HB) 공중합체에 존재하는 4HB 사슬과 3HB 사슬 sequence distribution차이에 의한 결과이다. Figure 1에서 확인된 결정성 P(3HB-co-4HB) 인 PHA7과 PHA42는 D1 값이 각각 7.25와 1.57로 그 값이 0.95인 비결정성 PHA36에 비하여 3HB block이 월등히 많이 존재함을 알 수 있다. 아울러 4HB block을 나타내는 D2로 부터PHA7은 4HB block 이 전혀 존재하지 않은 반면 4HB함량이 상대적으로 많아진 PHA36과 PHA42는 4HB block이 증가하며 특히, PHA42의 경우 3HB block과 4HB block이 동시에 존재함을 알 수 있다. 이상의 결과와 Figure 1으로부터 PHA7은 3HB block에 의한 결정화가 주로 일어나며 3HB-4HB random 사슬 중 각 사슬의 3HB rich phase에서도 3HB 사슬에 의한 결정화가 일어남을 알 수 있다. 반면 PHA42는 3HB-4HB random 사슬 중 각 사슬의 rich phase 결정화와 함께 3HB block과 4HB bock에서 결정화가 동시에 일어남을 알 수 있다. 비결정성인 PHA36은 첨가된 4HB가 3HB 사슬의 random화를 촉진하여 3HB 사슬 결정화가 일어나지 않으며 형성된 4HB block 또한 상대적으로 작아 결정화가 전혀 이루어지지 않음을 알 수 있다.
P(3HB-co-4HB) 생합성은 박테리아가 P(3HB-co-4HB)를 탄소 및 에너지를 저장원으로 합성하고 이를 축적한다. 이 과정에서 과잉 공급된 탄소원이 영양소가 제한된 조건에서 축적되는 원리를 이용하여 발효(fermentation)에 의하여 생산한다.4-6 따라서 PHA42의 경우, 박테리아의 P(3HB-co-4HB) 생성과정에서 영양소의 공급 조건을 PHA36과 다르게 변화시켜 PHA36과는 달리 4HB 사슬 양의 증가에 의하여 4HB block이 현저하게 커지는 동시에 3HB block도 PHA36과는 달리 첨가된 4HB 사슬에 의한 3HB 사슬 random화에도 불구하고 잘 유지되게 만들 수 있어 Figure 1에서 보는 바와 같이 두개의 용융 피크를 갖는 결정성 P(3HB-co-4HB)가 생산됨을 알 수 있다. 이러한 결과로부터 발효 시 영양소 공급조건에 따라 P(3HB-co-4HB)의 chain sequence distribution을 조절하여 결정화 거동을 조절할 수 있음을 알 수 있다.
Figure 3에 결정성 P(3HB-co-4HB)인 PHA7과 PHA42의 DSC 최대 승온 온도(용융 가공온도)를 180 oC로 올린 후 냉각(cooling)과 승온(heating: 20 oC/min)을 반복하여 얻은 DSC thermogram을 나타내었다. 그림에서 보는 바와 같이 냉각과정에서 냉각속도에 따라 결정화 온도와 결정화 엔탈피가 달라짐을 알 수 있으며 이러한 변화는 P(3HB-co-4HB)의 4HB 함량에 따라 매우 다름을 확인할 수 있다. 비등온 결정화 이후 승온 thermogram을 살펴보면 서로 다른 두개의 용융 엔탈피 피크를 볼 수 있다. P(3HB-co-4HB) 공중합체에서 상대적으로 낮은 용융온도 Tm1은 4HB 사슬 유연성에 의하여 가열과정에서 낮은 온도에서 사슬 움직임이 일어나는 4HB block과 4HB-3HB random 사슬의 3HB rich phase 결정 용융에 기인되는 열 전이온도이다. 상대적으로 높은 용융온도인 Tm2는 3HB block 사슬의 용융에 따른 흡열 피크임을 알 수 있다. Table 1에서 확인된 바와 같이 3HB block이 주를 이루는 PHA7의 경우 Tm2 피크가 더 큰 반면 3HB block 사슬과 함께 4HB block이 일정량 존재하는 PHA42의 경우, Tm1 피크가 더 두드러짐을 알 수 있다. 냉각속도를 증가시키면 두 경우 모두 Tm1 피크가 감소하는 것으로 보아 3HB block에 비하여 4HB block과 3HB-4HB random 사슬의 각 사슬 rich phase의 결정화가 냉각속도가 빨라짐 즉, 결정화가 용이하지 않는 비등온 냉각조건에서는 결정화가 잘 이루어지지 않고 있음을 알 수 있다. 이러한 결과로 부터 결정성 P(3HB-co-4HB)결정화는 잘 알려진 바와14-17 같이 4HB의 함량과 함께 이들의 사슬 sequence distribution과도 밀접한 관계가 있음을 확인 할 수 있다. 본 연구에서는 열분해와 함께 이에 대한 영향을 중점적으로 확인하였다.
Figure 4와 Figure 5에 Figure 3으로부터 얻어진 P(3HB-co-4HB)의 결정화 온도와 엔탈피를 냉각속도에 따라 나타내었다. 이때 용융 가공온도는 180 oC와 200 oC로 하여 측정하였다. 그림에서 보는 바와 같이 PHA7와 PHA42는 냉각속도를 증가시키면 결정화 온도와 결정화 엔탈피가 감소되며 이와 함께 용용 가공온도 증가 또한 이들의 감소를 초래함을 알 수 있다. 냉각속도를 증가시키면 결정이 냉각과정에서 충분히 결정화 할 시간을 갖지 못함에 따라 결정화 온도는 낮아지며 결정화 엔탈피 또한 감소한다. PHA7보다 4HB 함량이 월등히 높은 PHA42의 결정화온도는 PHA7에 비하여 다소 높고 결정화 엔탈피는 상대적으로 매우 작은 것으로 보아 PHA7에 비하여 결정화는 쉽게 이루어지나 냉각과정에서 형성된 결정의 양이 상대적으로 작음을 알 수 있다. 4HB 함량 증가는 3HB 사슬에 비하여 상대적으로 유연한 4HB 사슬에 의하여 결정 형성이 잘 이루어져 결정화 온도는 증가하는 반면 4HB 사슬에 의한 P(3HB-co-4HB) 공중합체의 사슬 랜덤화에 의하여 Table 1에서 확인된 바와 같이 3HB 사슬 block의 감소에 의하여 형성된 결정의 양은 현저하게 감소됨을 알 수 있다. 이러한 결과는 이전의 연구와14-17 잘 일치함을 알 수 있다.
Figure 6에서 확인된 바와 같이 용융과정에서 P(3HB-co-4HB)는 미량의 열분해를 초래한다. 특히, 용융 가공온도를 200 oC로 증가시키면 이러한 열분해가 증가됨을 알 수 있으며 4HB 함량이 많은 PHA42의 열분해 증가가 PHA7에 비하여 두드러짐을 알 수 있다. P(3HB-co-4HB)는 4HB 함량에 따라 다소 차이는 있으나 생분해성 PHA가 근본적으로 갖는 분해성에 의하여 용용 가공온도를 증가시키면 미량의 열분해를 유발하고 이로 인하여 생긴 저 분자량 P(3HB-co-4HB)에 의하여 P(3HB-co-4HB)의 결정화가 방해를 받게 될 것으로 예상되나 이에 대한 연구는 진행되지 않음을 알 수 있다. 열분해가 결정화 미치는 영향은 Figure 4와 Figure 5에서 보는 바와 같이 용융 가공온도 180 oC에 비하여 200 oC에서 더 낮은 결정화 온도와 낮은 결정화 엔탈피를 가짐을 알 수 있다. 즉 20 oC의 용융 가공온도 증가에 의한 열분해에 의하여 P(3HB-co-4HB)의 결정화가 방해를 받고 있음을 의미한다. 각 가공온도에서 냉각조건이 결정화에 미치는 영향을 살펴보면 상대적으로 사슬의 random화가 많이 이루어져 결정 양이 적은 PHA42 보다는 3HB block 사슬의 결정화가 주를 이루어 결정의 양이 많은 PHA7에서 용융가공 온도 증가에 따른 결정화 엔탈피 감소가 심화됨을 알 수 있다. 이러한 현상은 냉각속도가 증가됨에 따라 더 심화됨을 알 수 있다. 따라서 20 oC/min 이상의 급랭과정에서 용융가공의 열분해에 따른 결정화 거동 영향을 최소화하기 위해서는 3HB block과 4HB block을 모두 갖는 PHA42와 같은 P(3HB-co-4HB) block 공중합체를 용융 가공에 사용하는 방법이 제안될 수 있다.
Figure 7과 Figure 8에 Figure 3의 DSC thermogram으로부터 용융가공 시 가장 중요한 가공변수인 냉각속도와 용융 가공온도가 형성된 결정의 용융 온도와 용융 엔탈피에 미치는 영향을 나타내었다. 그림에서 보는 바와 같이 3HB 사슬 block 결정에 기인되는 Tm2는 PHA7과 PHA42 모두 160 oC 근방에서 유사한 반면 4HB block과 4HB-3HB random 사슬의 각 사슬 rich phase 결정에 기인되는 Tm1은 PHA42가 다소 높음을 알 수 있다. 냉각조건은 용융온도 Tm1과 Tm2 두 경우 모두 크게 영향을 미치지 않음을 알 수 있다. 용융 가공온도의 증가는 용융온도 감소를 초래하며 Tm2 보다는 Tm1에 더 영향을 미침을 알 수 있다. 융용 엔탈피는 3HB block 사슬의 결정화가 주를 이루는 PHA7이 PHA42에 비하여 훨씬 큼을 알 수 있으며 냉각속도는 3HB block 사슬 결정에 기인되는 Tm2보다는 4HB block과 4HB-3HB random 사슬 결정의 Tm1에 영향을 주는 것으로 보아 용융 가공온도는 PHA42 보다는 PHA7에 더 영향을 미침을 알 수 있다.
이러한 결과는 Table 1에서 확인된 4HB 함량과 함께 사슬의 sequence distribution이 형성된 결정 구조에 영향을 미침을 알 수 있다. 상대적으로 유연한 4HB 함량이 많은 PHA42는 Table 1에서 확인된 바와 같이 PHA7과는 달리 4HB 사슬 block이 형성되어 4HB-3HB random의 각 사슬의 rich phase 결정만 존재하는 PHA7보다 Tm2의 증가를 초래한다. 반면, 4HB 함량의 증가에 따라 주된 결정화 사슬인 3HB block 결정의 현격한 감소에 따라 용융 엔탈피는 현저하게 감소됨을 알 수 있다. 급랭 냉각조건에 따른 결정의 변화는 상대적으로 에너지 안정성이 높은 3HB block 사슬에는 크게 영향을 미치지 못하나 3HB-4HB random 사슬, 그리고 4HB-4HB 사슬 결정에는 영향을 주게 된다. 200 ℃ 가공에서 생성된 저분자 P(3HB-co-4HB)는 결정 안정성이 높은 3HB block 결정 형성을 증가시키는 기핵 역할을 함에 따라 이들의 용융 엔탈피 증가를 초래하는 반면 3HB-4HB random 사슬과 4HB block 사슬 결정을 방해함을 알 수 있다. 즉, 용융 가공온도 증가에 따른 열분해는 3HB 사슬 보다는 상대적으로 내열성이 떨어지는 4HB 사슬에서 일어나 4HB 사슬들의 결정을 방해하는 것을 확인할 수 있다.
Figure 3에서 얻어진 비등온 결정화 thermogram으로부터 crystallization of half time(t1/2)을 확인하여 Figure 9에 나타내었다. PHA42가 PHA7에 비하여 crystallization of half time이 짧은 것으로 보아 상대적으로 결정화속도가 빠름을 알 수 있다. Table 1에서 확인된 바와 같이 PHA42는 PHA7과 달리 상대적으로 경직된 3HB 사슬 block에 의한 결정의 양은 작아지며 PHA7에 존재하지 않았던 사슬 유연성이 높은 4HB block 사슬 결정이 존재함에 따라 이들에 의하여 결정화 속도가 빨라 짐을 알 수 있다.
냉각속도가 crystallization of half time에 미치는 영향을 보면 PHA7과 PHA42 모두 10 oC/min에서 30 oC/min의 서냉 구간에서는 결정화 속도를 증가시키나 그 이상의 급랭 조건에서는 크게 영향을 미치지 않음을 알 수 있다. 즉, 결정화 속도가 느린 구간에서는 결정의 미시적 구조인 3HB 사슬 block 혹은 4HB 사슬 block 상관없이 냉각속도를 증가시키면 결정이 빨리 형성됨을 알 수 있다. 냉각속도의 증가는 결정화가 이루어질 수 있는 시간을 감소시켜 결정의 양은 현저하게 감소하나 생성된 결정이 결정화를 완료하는 시간은 감소함을 알 수 있다.
용융 가공온도 증가는 냉각속도와는 관계없이 PHA42와 PHA7 모두 결정화 속도를 느리게 함을 알 수 있다. Figure 6에서 확인된 바와 같이 열분해에 의한 저분자 P(3HB-co-4HB)의 기핵 작용에 의하여 결정의 양은 증가되나 결정화가 완료되는 시간이 증가함을 알 수 있다. 즉, 높은 온도의 용융가공은 저분자 P(3HB-co-4HB)의 기핵 형성이 많이 되어 형성된 결정이 완벽하게 성장하는 시간이 더 걸림을 알 수 있다.
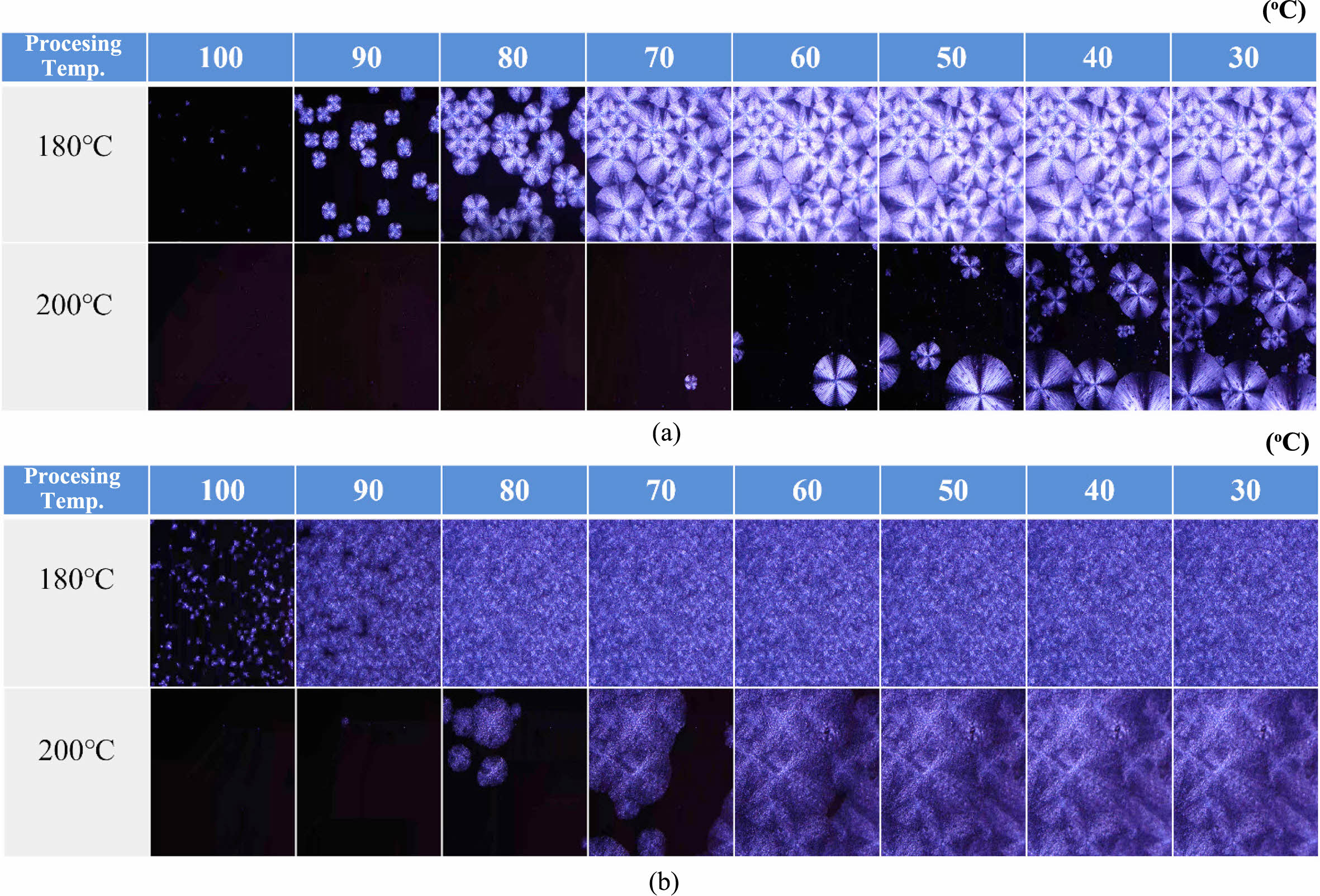
Figure 10에 결정성 P(3HB-co-4HB)의 비등온 결정화 과정에서 형성되는 구정 사진을 냉각과정 각 온도에 따라 나타내었다. 측정 시 공랭으로 Figure 3의 냉각 조건 중 20-30 oC/min으로 냉각속도를 유지하였다. PHA7과 PHA42 모두 100 oC에서 구정이 형성이 시작되며 온도가 감소함에 따라 구정이 성장되며 생성된 구정은 impinging에 의하여 구정 성장이 60 oC 근방에서 완료됨을 보인다. 용융 가공온도를 증가시키면 구정형성 온도가 70-80 oC로 낮아지며 상온 근처에서도 구정이 완전히 성장되고 있지 않음으로 보아 열분해에 의한 결정 형성 방해가 일어남을 알 수 있다. 이는 Figure 3의 비등온 결정화 DSC thermogram과 잘 일치하는 결과이다. 한가지 특이한 사항은 그림에서 보는 바와 같이 PHA7의 경우, 3HB 사슬 block 결정화와 3HB-4HB random 사슬의 각 사슬 rich phase 결정화에 의하여 형성된 Maltese cross의 bright phase와 dark phase의 형성이 선명하다. 반면 PHA42의 경우, 이들과 함께 4HB block 결정화에 의하여 상대적으로 불완전 혹은 불규칙한 변성 구정을 형성함에 따라 선명한 Maltese cross를 얻지 못함을 알 수 있다. 이는 4HB 사슬의 증가에 따라 P(3HB-co-4HB)구정 형성에 defect를 유발시키고 있음을 알 수 있다.
|
Figure 1 DSC spectrums of P(3HB-co-4HB) used in this study |
|
Figure 2 13C NMR spectrum of P(3HB-co-4HB) used in this study. |
|
Figure 3 Non-isothermal DSC thermograms (cooling and heating) after the processing temperature reached 180 ℃: (a) PHA7; (b) PHA42. |
|
Figure 4 Effect of processing temperature on crystallization temperature of P(3HB-co-4HB): (a) PHA7; (b) PHA42. |
|
Figure 5 Effect of processing temperature on crystallization enthalpy of P(3HB-co-4HB): (a) PHA7; (b) PHA42. |
|
Figure 6 Thermal degradation of P(3HB-co-4HB) at different processing temperatures. |
|
Figure 7 Melting temperature of P(3HB-co-4HB): (a) PHA7; b) PHA42. |
|
Figure 8 Melting enthalpy of P(3HB-co-4HB): (a) PHA7; b) PHA42. |
|
Figure 9 Crystallization of half time(t1/2) of P(3HB-co-4HB): (a) PHA7; (b) PHA42. |
|
Figure 10 Optical micrographs of P(3HB-co-4HB): (a) PHA7; (b) PHA42 |
본 연구에서는 박테리아의 fermentation 과정에서 형성된 4HB 함량과 4HB와 3HB 사슬의 randomness가 비등온 결정화에 미치는 영향을 중점적으로 확인하였으며 용융 가공온도가 이들 결정화에 미치는 영향을 함께 고찰하여 보았다.
연구 결과, 박테리아의 fermentation 조건을 조절함에 따라 다른 4HB 함량을 갖는 P(3HB-co-4HB)를 제조할 수 있었으며 fermentation 공정에서 영양소 공급 조건을 조절함으로써 3HB block만을 갖는 P(3HB-co-4HB)와 3HB block과 4HB block을 동시에 갖는 block 공중합체를 제조할 수 있었다. 이러한 sequence distribution 차이는 4HB 함량과 함께 비등온 결정화 거동을 변화시킴을 확인하였다. 4HB 함량 증가와 4HB block의 증가는 결정화 속도는 빨라지나 형성된 결정의 양은 현저하게 감소함을 확인하였다. 형성된 결정도 이러한 미시구조 변화에 따라 에너지 준위가 서로 다른 결정이 얻어짐을 알 수 있었다. 용융가공온도 증가는 열분해를 초래하여 생성된 저분자 P(3HB-co-4HB)는 4HB 사슬의 결정화를 방해하나 3HB 사슬의 결정화는 촉진시킴을 알 수 있었다.
This Article2024; 48(1): 68-76
Published online Jan 25, 2024
Services
Correspondence toDepartment of Polymer Science and Engineering, Dankook University, 152 Jukjeon-ro, Suji-gu, Yongin-si, Gyeonggi-do, 16890, Korea